Refine Search

Tbd 1a Franklin Tram Road, Franklin Twp, MI 49930

$30,000
  • Tbd 1a Franklin Tram Road, Franklin Twp, MI 49930 Main Photo

11 Total Photos [Click to View All]

Active
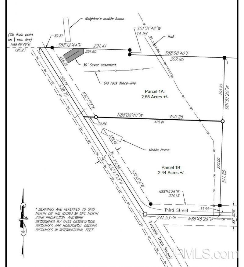
LOT SIZE 2.550 acres MLS#50201454
STATUSActive PROPERTY TYPELand - Residential SUBDIVISIONNone SCHOOLHancock Public Schools

Property Description

Opportunities in Franklin Township dont come along very often! Check out this parcel that has approximately 2.5+/- acres. The parcel is located just outside of Hancock with a convenient drive to the schools and hospital. Property has been surveyed. Property being sold as-is. Natural gas: Per SEMCO: gas main ends just to the north of this property, but could be extended by coordinating with SEMCO. Buyer to contact Semco for a quote to extend natural gas to property, at buyers expense and after closing. ------ NOTICE: Information is believed accurate but not guaranteed. Buyers must inspect & verify all property details. Buyers accept all risks of inaccuracies, including but not limited to, acreage, lot size/location, square footage, & utility availability/costs. Real estate taxes will be reassessed & may change significantly after sale; do not assume your tax bills will match the sellers. Taxes are not zero. GIS, apps and plat book pages/maps are not surveys. Audio/video recording may occur on the property; entry implies consent to recording. Buyer pre-approval or proof of funds documentation to be provided upon request. OFFERS: Please allow 72 hours for a response. Seller may set or change offer deadlines at any time with or without notice.

Tbd 1a Franklin Tram Road | MLS# 50201454

This land located at Tbd 1a Franklin Tram Road, Franklin Twp, MI 49930 is currently listed for sale with an asking price of $30,000. The property has approximately 2.55 Acres. Tbd 1a Franklin Tram Road is located within the Hancock Public Schools school district. Search Franklin Twp real estate on www.ikeyrealty.com today.

Property Features

Property Type: Land - Residential
Lot Size: 2.55 Acres

Feature Descriptions

Days on Site: 43
Sewer: None
Water: None, Not to Property (Water)
Water Features: None

Local Schools

School District: Hancock Public Schools

Listed By / Shown By

Listed By

Agency Name: CENTURY 21 AFFILIATED
Agency Phone: 906-482-0001

Shown By

Agency Title: Key Realty
Agency Phone: 877-539-7589

IDX logo

Estimate Your Payment

Estimated Payment

$ 176.56 per month $167.81 Principal & Interest $0.00 Property Tax (data not provided by mls) $8.75 Homeowner's Insurance

Change Payment Information

%
years/fixed
yearly
yearly (est.)
(Payments are an estimate and may vary by lender)

Login to My Homefinder

Register to View this Listing

Why Create an Account?

If you're searching for your next home, or just curious about the market there is no better tool to help you quickly find homes that meet your needs and wants.

With an account you can:

  • Save your favorite listings
  • Save searches with your important parameters
  • Be emailed about new listings that meet your criteria
  • Be notified of changes to your saved listings such as a price reduction or when a property goes off the market
  • Keep track of homes you have recently viewed

Sign Up Today

At least 6 characters with one uppercase, one lowercase, and one number

Already have an account? Sign in here.

Forgot your password?

Pixel